A B C D E F G H I J K L M N O P Q R S T U V W X Y Z 
1 2 3 4 5 6 7 8 9 10 11 12 13 14 15 16 17 18 19 20 21 22 23 24 25 26 27 28 29 30 31 
Gallen 461-480 von 613 für Erzeuger 'Gallwespe'

Gallen durch Gallwespe

Quercus robur L.,1753

Deutsch: Stiel-Eiche
Erzeugergruppe: (Hym.) Gallwespe

Fundort: Tschechien, Südmähren
Funddatum: 01.11.2014


Quercus robur L.,1753

Deutsch: Stiel-Eiche
Erzeugergruppe: (Hym.) Gallwespe

Fundort: Tschechien, Südmähren
Funddatum: 01.11.2014


Quercus robur L.,1753

Deutsch: Stiel-Eiche
Erzeugergruppe: (Hym.) Gallwespe

Fundort: Tschechien, Südmähren
Funddatum: 01.11.2014


Quercus robur L.,1753

Deutsch: Stiel-Eiche
Erzeugergruppe: (Hym.) Gallwespe

Fundort: Sachsen, Dresdener HeideH = 263 m
Funddatum: 06.07.2015


Quercus robur L.,1753

Deutsch: Stiel-Eiche
Erzeugergruppe: (Hym.) Gallwespe

Fundort: Sachsen, Spaar-GebirgeH = 198 m
Funddatum: 19.09.2015


Quercus robur L.,1753

Deutsch: Stiel-Eiche
Erzeugergruppe: (Hym.) Gallwespe

Fundort: Sachsen, Pirna,Birkwitzer See
Funddatum: 01.08.2015


Quercus robur L.,1753

Deutsch: Stiel-Eiche
Erzeugergruppe: (Hym.) Gallwespe

Fundort: Brandenburg, A 13,Drochow
Funddatum: 02.10.2015


Quercus robur L.1753

Deutsch: Stiel-Eiche
Erzeugergruppe: (Hym.) Gallwespe

Fundort: Sachsen, Mühlbach bei Pirna
Funddatum: 21.09.2019


Quercus robur L.1753

Deutsch: Stiel-Eiche
Erzeugergruppe: (Hym.) Gallwespe

Fundort: Sachsen, Mühlbach bei Pirna
Funddatum: 21.09.2019


Quercus robur L.1753

Deutsch: Stiel-Eiche
Erzeugergruppe: (Hym.) Gallwespe

Fundort: Sachsen,Radeberg,OT Ullersdorf
Funddatum: 19.05.2019


Quercus robur L.1753

Deutsch: Stiel-Eiche
Erzeugergruppe: (Hym.) Gallwespe

Fundort: Sachsen, Dresden, Albertplatz
Funddatum: 06.07.2020


Quercus robur L.1753

Deutsch: Stiel-Eiche
Erzeugergruppe: (Hym) Gallwespe

Fundort: Sachsen, Ullersdorf
Funddatum: 29.07.2017


Quercus robur L.1753

Deutsch: Stiel-Eiche
Erzeugergruppe: (Hym.) Gallwespe

Fundort: Sachsen, Pratzschwitz bei Pirna
Funddatum: 30.08.2014


Quercus robur L.1753

Deutsch: Stiel-Eiche
Erzeugergruppe: (Hym.) Gallwespe

Fundort: Brandenburg, A13, AS Calau
Funddatum: 27.05.2016


Quercus robur L.1753

Deutsch: Stiel-Eiche
Erzeugergruppe: (Hym.) Gallwespe

Fundort: Brandenburg, Drochow, H = 137m
Funddatum: 27.03.2017


Quercus robur L.1753

Deutsch: Stiel-Eiche
Erzeugergruppe: (Hym.) Gallwespe

Fundort: Brandenburg, Drochow
Funddatum: 27.03.2017


Quercus robur L.1753

Deutsch: Stiel-Eiche
Erzeugergruppe: (Hym.) Gallwespe

Fundort: Brandenburg,Drochow
Funddatum: 27.03.2017


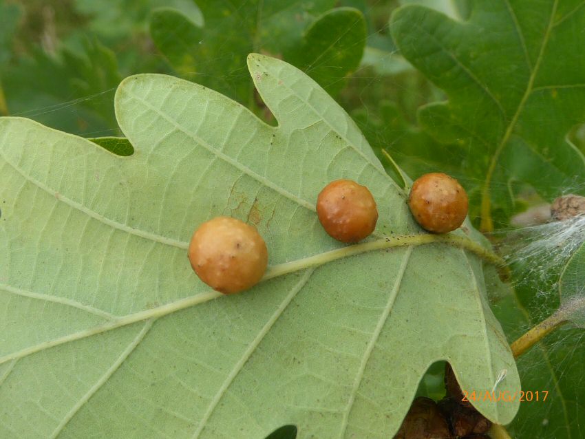
Quercus robur L.1753

Deutsch: Stiel-Eiche
Erzeugergruppe: (Hym.) Gallwespe

Fundort: Sachsen, Dresden-Weißig
Funddatum: 24.08.2017


Quercus robur L.1753

Deutsch: Stiel-Eiche
Erzeugergruppe: (Hym.) Gallwespe

Fundort: Brandenburg,Großräschen,H = 120 m
Funddatum: 25.04.2018


Quercus robur L.1753

Deutsch: Stiel-Eiche
Erzeugergruppe: (Hym.) Gallwespe

Fundort: Brandenburg,Großräschen
Funddatum: 25.04.2018