A B C D E F G H I J K L M N O P Q R S T U V W X Y Z 
1 2 3 4 5 6 7 8 9 10 11 12 13 14 15 16 17 18 
Gallen 181-200 von 357 mit 'R'

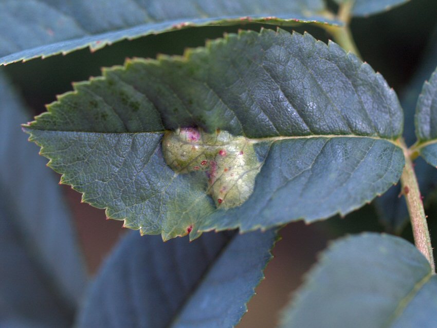
Rosa canina L. 1753

Deutsch: Hunds-Rose
Erzeugergruppe: (Hym.) Gallwespe

Fundort: Georgien, Tiblisi, Saguramo
Funddatum: 31.10.2025


Rosa canina L. 1753

Deutsch: Hunds-Rose
Erzeugergruppe: (Hym.) Gallwespe

Fundort: Georgien, Tiblisi, Saguramo
Funddatum: 31.10.2025


Rosa canina L.1753

Deutsch: Hund-Rose
Erzeugergruppe: (Hym.) Gallwespe

Fundort: Georgien, Kachetien, Ninigori
Funddatum: 25.06.2016


Rosa canina L.1753

Deutsch: Hunds-Rose
Erzeugergruppe: (Hym.) Gallwespe

Fundort: Georgien, Kachetien, Ninigori,
Funddatum: 25.06.2016


Rosa canina L. 1753

Deutsch: Hunds-Rose
Erzeugergruppe: (Dipt.) Gallmuecke

Fundort: Berlin-Mitte
Funddatum: 02.06.2006


Rosa canina L. 1753

Deutsch: Hunds-Rose
Erzeugergruppe: (Hym.) Gallwespe

Fundort: Brandenburg, Hoppegarten b. Berlin
Funddatum: 30.06.2004


Rosa canina L. 1753

Deutsch: Hunds-Rose
Erzeugergruppe: (Dipt.) Gallmuecke

Fundort: Oesterreich, Burgenland
Funddatum: 06.06.2005


Rosa canina L. 1753

Deutsch: Hunds-Rose
Erzeugergruppe: (Hym.) Gallwespe

Fundort: Brandenburg, Hoppegarten b. Berlin
Funddatum: 30.06.2004


Rosa canina L. 1753

Deutsch: Hunds-Rose
Erzeugergruppe: (Hym.) Gallwespe

Fundort: Berlin-Koepenick, Wuhlheide
Funddatum: 09.07.2006


Rosa canina L. 1753

Deutsch: Hunds-Rose
Erzeugergruppe: (Hym.) Gallwespe

Fundort: Bayern, Geiselhoering
Funddatum: 23.09.2012


Rosa canina L. 1753

Deutsch: Hunds-Rose
Erzeugergruppe: (Hym.) Gallwespe

Fundort: Armenien, Yerevan, Kloster Nora Vank
Funddatum: 05.07.2014


Rosa canina L. 1753

Deutsch: Hunds-Rose
Erzeugergruppe: (Hym.) Gallwespe

Fundort: Armenien Dilijan, Kloster Haghardzin
Funddatum: 01.07.2014


Rosa canina L. 1753

Deutsch: Hunds-Rose
Erzeugergruppe: (Dipt.) Gallmuecke

Fundort: Sachsen, Dresden, Pillnitz
Funddatum: 09.07.2011


Rosa canina L. 1753

Deutsch: Hunds-Rose
Erzeugergruppe: (Hym.) Gallwespe

Fundort: Sachsen, Dresden, Pillnitz
Funddatum: 09.07.2011


Rosa canina L. 1753

Deutsch: Hunds-Rose
Erzeugergruppe: (Basid.) Rostpilz

Fundort: Thueringen, Muehlhausen
Funddatum: 17.06.2007


Rosa canina L. 1753

Deutsch: Hunds-Rose
Erzeugergruppe: (Hym.) Gallwespe

Fundort: Sachsen, Dresden, Weissig,
Funddatum: 30.07.2010


Rosa canina L. 1753

Deutsch: Hunds-Rose
Erzeugergruppe: (Hym.) Gallwespe

Fundort: Sachsen, Dresden, Weissig,
Funddatum: 30.07.2010


Rosa canina L. 1753

Deutsch: Hunds-Rose
Erzeugergruppe: (Hym.) Gallwespe

Fundort: Sachsen, Dresden, Weissig,
Funddatum: 30.07.2010


Rosa canina L. 1753

Deutsch: Hunds-Rose
Erzeugergruppe: (Hym.) Gallwespe

Fundort: Thueringen, Muehlhausen
Funddatum: 17.06.2007


Rosa canina L. 1753

Deutsch: Hunds-Rose
Erzeugergruppe: (Hym.) Gallwespe

Fundort: Mecklenburg, Poel
Funddatum: 13.10.2007