A B C D E F G H I J K L M N O P Q R S T U V W X Y Z 
1 2 3 4 5 6 7 8 9 10 11 
Gallen 1-20 von 212 mit 'F'

Fagopyrum esculentum Moench

Deutsch: Echter Buchweizen
Erzeugergruppe: fehlende Kronblätter

Fundort: Sachsen, Medingen
Funddatum: 08.09.2014


Fagopyrum esculentum Moench

Deutsch: Echter Buchweizen
Erzeugergruppe: (Hom.) Blattlaus

Fundort: Sachsen, Medingen
Funddatum: 08.09.2014


Fagopyrum esculentum Moench

Deutsch: Echter Buchweizen
Erzeugergruppe: (Hom.) Blattlaus

Fundort: Sachsen, Medingen
Funddatum: 08.09.2014


Fagopyrum esculentum Moench 1794

Deutsch: Echter Buchweizen
Erzeugergruppe: (Ascom.) Echter Mehltau

Fundort: Sachsen, Medingen
Funddatum: 22.09.2017


Fagus grandiflora Erh. 1787

Deutsch: Amerikan. Buche
Erzeugergruppe: (Hom.) Blattlaus, Buchenwollschildlaus

Fundort: USA, Indiana, Nashville
Funddatum: 07.10.2006


Fagus grandiflora Erh. 1787

Deutsch: Amerikan. Buche
Erzeugergruppe: (Hom.) Blattlaus, Buchenwollschildlaus

Fundort: USA, Indiana, Nashville
Funddatum: 07.10.2006


Fagus grandiflora Erh. 1787

Deutsch: Amerikan. Buche
Erzeugergruppe: (Hom.) Blattlaus, Buchenwollschildlaus

Fundort: USA, Indiana, Nashville
Funddatum: 07.10.2006


Fagus orientalis Lipsky 1894

Deutsch: Orient-Buche
Fundort: Georgien, Saguramo, Wald
Funddatum: 19.06.2025


Fagus orientalis Lipsky 1894

Deutsch: Orient-Buche
Fundort: Georgien, Saguramo, Wald
Funddatum: 19.06.2025


Fagus orientalis Lipsky, 1894

Deutsch: Orient-Buche
Erzeugergruppe: (Dipt.) Gallmücke

Fundort: Georgien, Saguramo, Wald
Funddatum: 13.06.2025


Fagus orientalis Lipsky, 1894

Deutsch: Orient-Buche
Erzeugergruppe: (Dipt.) Gallmücke

Fundort: Georgien, Saguramo, Wald
Funddatum: 13.06.2025


Fagus orientalis Lipsky, 1894

Deutsch: Orient-Buche
Fundort: Georgien, Tiblisi, Saguramo, Kloster
Funddatum: 31.10.2025


Fagus orientalis Lipsky 1894

Deutsch: Orient Buche
Erzeugergruppe: (Dipt.)   Buchenblattgallmücke

Fundort: Georgien, Gr. Kaukasus, Ananuri
Funddatum: 19.06.2012


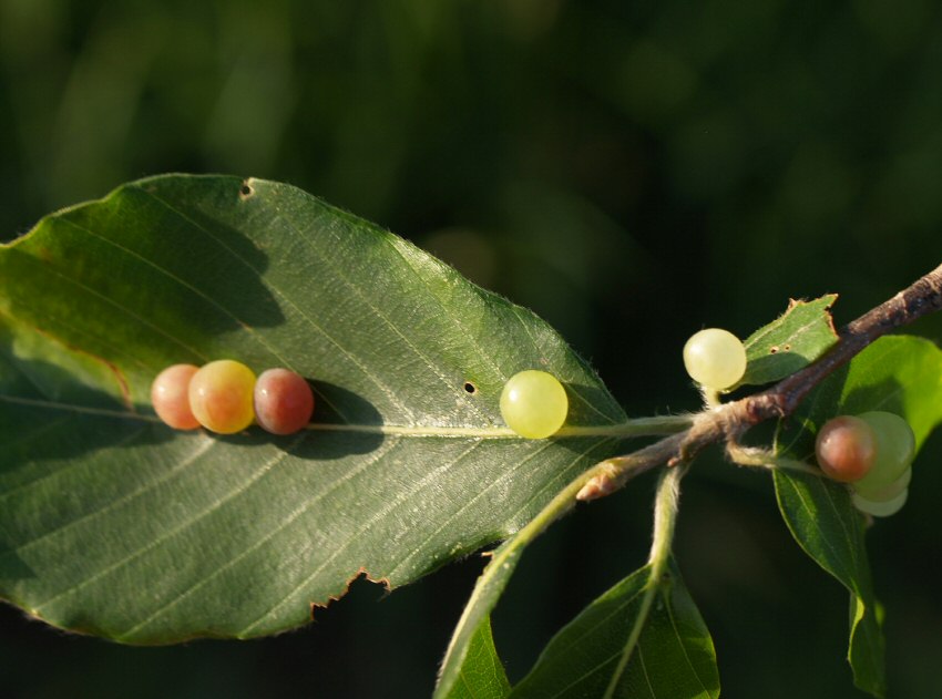
Fagus orientalis Lipsky 1894

Deutsch: Orient Buche
Erzeugergruppe: (Dipt.)   Buchengallmücke

Fundort: Georgien, Gr. Kaukasus, Ananuri
Funddatum: 19.06.2012


Fagus orientalis Lipsky 1894

Deutsch: Orient Buche
Erzeugergruppe: (Dipt.)   Buchengallmücke

Fundort: Georgien, Gr. Kaukasus, Ananuri
Funddatum: 19.06.2012


Fagus orientalis Lipsky 1894

Deutsch: Orient Buche
Erzeugergruppe: Wucherung

Fundort: Georgien, Kl.Kaukasus, Bakuriani,
Funddatum: 13.06.2006


Fagus orientalis Lipsky 1894

Deutsch: Orient Buche
Erzeugergruppe: (Acar.) Gallmilben

Fundort: Georgien, Kl.Kaukasus, Bakuriani,
Funddatum: 13.06.2006


Fagus orientalis Lipsky 1894

Deutsch: Orient Buche
Erzeugergruppe: (Acar.) Gallmilben

Fundort: Georgien, Kl. Kaukasus, Borjomi
Funddatum: 19.07.2005


Fagus orientalis Lipsky 1894

Deutsch: Orient Buche
Erzeugergruppe: (Acar.) Gallmilben

Fundort: Georgien, Kl. Kaukasus, Borjomi
Funddatum: 13.06.2006


Fagus orientalis Lipsky 1894

Deutsch: Orient Buche
Erzeugergruppe: (Dipt.)   Gallmücke

Fundort: Georgien, Kl.Kaukasus, Bakuriani,
Funddatum: 10.07.2005